Krtonožka obecná

Živočich

Krtonožka obecná (Gryllotalpa gryllotalpa) je druh rovnokřídlého hmyzu, který je uzpůsoben životu v podzemí. Wikipedia

HmyzTřída
KřídlatíPodtřída
KobylkyPodřád
CvrčciNadčeleď

Lidé také hledají

krtonožka: rod rovnokřídlého hmyzu z nadčeledi cvrčků
Krtonožka obecná
Krtonožka obecná | Naturfoto.cz
Krtonožka obecná | Naturfoto.cz
Krtonožka obecná (Gryllotalpa gryllotalpa)
Nedovolte krtonožce, aby letos ničila vaši úrodu a zasáhněte dřív, než bude příliš pozdě
Krtonožka obecná
Krtonožka obecná (Gryllotalpa gryllotalpa)
Krtonožka obecná (Gryllotalpa gryllotalpa)
Obrázek - Gryllotalpa gryllotalpa (krtonožka obecná) | BioLib.cz

Krtonožka obecná – Wikipedie

Krtonožka obecná poškodí velké množství rostlin při hloubení chodeb a na jaře před stavbou hnízd, ke škodám dochází jen lokálně. [4 ] Škody působené krtonožkami jsou poměrně malé. [5 ] Sameček hlasitě cvrčí, vlastní zpěv krtonožka vyluzuje…

Krtonožka obecná je noční můrou každé zahrady. Moji zahradu…

Jestřábník obecný je mnohými považován za škůdce. Než s ním však začnete bojovat, zjistěte si o něm více.

Krtonožka obecná | Témata

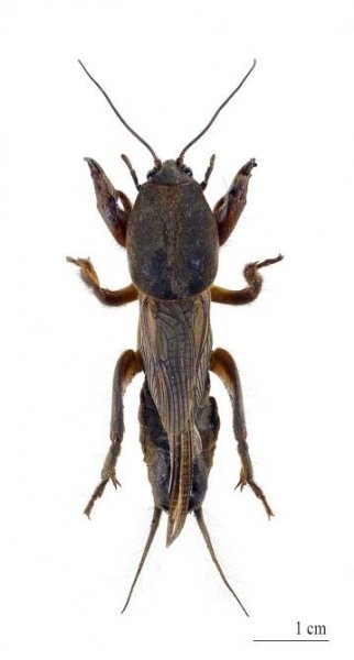
Krtonožka patří spolu s cvrčky, kobylkami a sarančaty do řádu hmyzu rovnokřídlého a je mezi nimi držitelem alespoň dvou rekordů: se svými 6 cm délky a 3 a půl gramy váhy je u nás největším a pro svou žravost i nejškodlivějším zástupcem řádu…

Krtonožka sežere kořínky vašich rostlin. Poznáte ji podle zvláštních cestiček

Před 3 měsíciKrtonožka obecná má nejen zvláštní název, ale zvláštně i vypadá. Trochu totiž připomíná malého raka či štíra. Tento vlhkomilný druh hmyzu dokáže na…

Jak se zbavit krtonožky obecné - Krejsashop.cz

Poradíme vám, kde se vyskytuje krtonožka obecná a jak na likvidaci krtonožky. Nabízíme účinné přípravky proti škůdcům za skvělé ceny.

Krtonožka obecná

25. 2. 2021Vadnutí a usychání rostlin a sazenic v zahradě může mít na svědomí krtonožka obecná. Tento půdní škůdce každoročně potrápí mnoho zahrádkářů. Co pomůže?

Krtonožka obecná - ČT edu - Česká televize

► 11:56
1. 9. 2020Zahrádkáři a zemědělci krtonožku dobře znají a jednoznačně ji považují za škůdce. Vedle hmyzu, kterým se živí, překusuje kořínky rostlinek, a ty tak brzy vadnou. Tenhle zajímavý a všestranně vybavený tvoreček dokonce létá, plave a cvrká.

Krtonožka obecná (Gryllotalpa gryllotalpa)

Před 5 měsíciKrtonožka je největším zástupcem rodu rovnokřídlích (Orthoptera) u nás a může dosáhnout velikosti až pět centimetrů. Její odborný název vznikl ze...

Zboží.czKrtonožka obecná

Rosteto Odpuzovač krtonožky obecné 1,2 kg

Rosteto přírodní odpuzovač krtonožky obecné obsahuje rostlinné lisované zbytky semene skočce obecného, dále obsahuje i některé alkaloidové látky, které obsahují ricin. Uvolňováním těchto látek do…

od 175 Kč
ve 24 obchodech

Krtonožka obecná (Gryllotalpa gryllotalpa) | ChovZvířat.cz

Krtonožka obecná (Gryllotalpa gryllotalpa) - Krtonožka obecná je na první pohled velmi neobvyklý hmyz, který se u nás vyskytuje především v

Nabídka ze Zboží.cz

Při pokusu o sdílení polohy došlo k chybě
Více informací
odkazuje na služby nejen od Seznam.cz.

© 1996–2025 Seznam.cz, a.s.